河道邊松木樁加固施工方案(附示意圖)-江西市政工程方案
來源:
南昌恒大華府項目河道邊松木樁加固施工方案
第一節 工程概況
第一節 工程概況
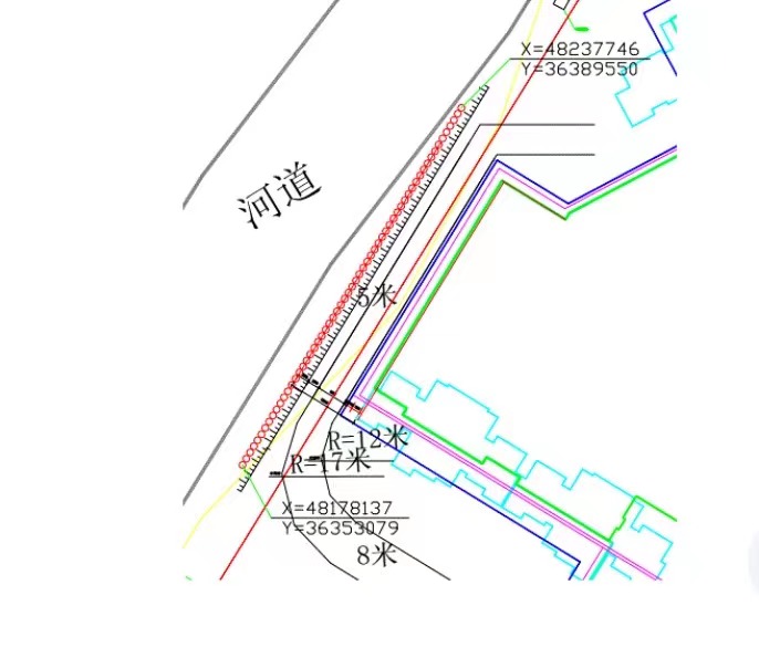
第一節 工程概況南昌恒大華府項目位于南昌市西湖區,本工程南北分別為云錦路和九洲大道,東西分別為桃花南路和子羽路,位于桃花南路一側為河道,本工程規劃地下室外邊距離河道14-17米,地庫為地下-2層。
根據地勘資料顯示,場地地層自上而下依次劃分為自上而下依次劃分為①雜填土、①-1耕土、②-1粉質粘土、②-2粉質粘土、②-3粉質粘土、③-1細砂、③-2礫砂、③-3圓礫、④強風化泥質粉砂巖、④-1中風化泥巖、④-2中風化泥質粉砂巖。現將勘探孔巖土層的組成及分布情況自上而下分述如下:第(①)層:雜填土灰褐、褐紅等雜色,松散,稍濕,主要成份為粘性土、少量碎石、砂礫及建筑垃圾、生活垃圾,為近期人工堆填而成,未完成自重固結,局部底部為填砂,該層主要在場地較廣泛分布;該層層頂埋深0.00米,層頂標高20.05~21.57米,層厚3.50~6.60米,平均厚度4.27米。巖芯采取率約81~88%。
第(②-1)層:粉質粘土黃褐、灰褐色,可塑,局部偏軟塑,主主要分為粘粒及粉粒,干強度中等,韌性中等,刀切面稍有光滑,無搖振反應,局部見鐵錳質結核。該層主要在場地局部位置分布,目前在ZK38孔中揭露;該層層頂埋深3.50米,層頂標高17.00米,層厚0.70米。巖芯采取率約91~95%。
第(②-2)層:粉質粘土褐灰、青灰色,軟塑為主,局部偏可塑,主要成分為粘粒及粉粒,干強度及韌性中等,無搖振反應,無光澤,局部相變為淤泥質土,偶夾粉細砂。該層在場地較為廣泛分布;該層層頂埋深3.70~6.60米,層頂標高14.64~16.97米,層厚1.50~7.10米,平均厚度3.22米。
根據以上數據顯示,松木樁樁端進入第3層,粉質黏土層可作為持力層。
根據地勘資料顯示,場地地層自上而下依次劃分為自上而下依次劃分為①雜填土、①-1耕土、②-1粉質粘土、②-2粉質粘土、②-3粉質粘土、③-1細砂、③-2礫砂、③-3圓礫、④強風化泥質粉砂巖、④-1中風化泥巖、④-2中風化泥質粉砂巖。現將勘探孔巖土層的組成及分布情況自上而下分述如下:第(①)層:雜填土灰褐、褐紅等雜色,松散,稍濕,主要成份為粘性土、少量碎石、砂礫及建筑垃圾、生活垃圾,為近期人工堆填而成,未完成自重固結,局部底部為填砂,該層主要在場地較廣泛分布;該層層頂埋深0.00米,層頂標高20.05~21.57米,層厚3.50~6.60米,平均厚度4.27米。巖芯采取率約81~88%。
第(②-1)層:粉質粘土黃褐、灰褐色,可塑,局部偏軟塑,主主要分為粘粒及粉粒,干強度中等,韌性中等,刀切面稍有光滑,無搖振反應,局部見鐵錳質結核。該層主要在場地局部位置分布,目前在ZK38孔中揭露;該層層頂埋深3.50米,層頂標高17.00米,層厚0.70米。巖芯采取率約91~95%。
第(②-2)層:粉質粘土褐灰、青灰色,軟塑為主,局部偏可塑,主要成分為粘粒及粉粒,干強度及韌性中等,無搖振反應,無光澤,局部相變為淤泥質土,偶夾粉細砂。該層在場地較為廣泛分布;該層層頂埋深3.70~6.60米,層頂標高14.64~16.97米,層厚1.50~7.10米,平均厚度3.22米。
根據以上數據顯示,松木樁樁端進入第3層,粉質黏土層可作為持力層。
第三節工程特點及難點分析
本工程地下室距離河道較近,地下室開挖深度從地表向下約10米,地下土中含砂量較大,河道邊坡含砂較多,泥質層較深、強度較低、壓縮性高、地基承載力不足,在自重作用和動態變化下即發生加大沉降,必將會導致路堤的坍塌和失穩,容易產生不均勻、不穩定和滑動面,需進行土方回填壓實后進行道路施工,因此采用輕便的技術措施對河道邊土層地基進行加固處理。
第四節河道邊松木樁加固主要機械和材料
1、230型挖掘機1臺;
2、圓鋸;
3、松木樁L=8米、直徑150-200mm
2、圓鋸;
3、松木樁L=8米、直徑150-200mm
第五節松木樁施工工藝
1、施工工藝流程
挖掘機打試樁-確定樁長-制作松木樁-挖掘機打樁-鋸平樁頭-回填土-護坡施工
2、施工過程
在軟基范圍隨機選擇比較有代表的點,用挖掘機打入試樁,直到試樁進入
持力層。一般挖掘機捶擊進尺寸速度明顯下降時停止。然后將有代表的試樁長度取平均值,確實為松木樁批量制作長度。
松木樁的選用
a、樁徑選用常用D150mm:
b、根據地勘資料顯示,樁端進入10加標高為粘土層,下層為含砂層,該層可作為松木樁持力層。
松木樁的制作
(1)樁預計用量466根,大端直徑≥15em,且外形直順光圓;
(②)小端削成30em長的尖頭,利于打入持力層;
(3)待準備好總樁數80%以上的樁時,調入挖掘機進行打樁施工,避免挖掘
機待樁窩工;
(4)將備制作好的樁擺放在現場,為打樁做好準備;
2.4挖掘機打樁流程
(1)挖掘機就位;
(②)選擇將要打入的松木樁,人工扶正松木樁;
(3)按壓穩定后,人立即離開樁位,用挖斗背面擊打樁頭,直到沒有明顯打入量為止,確保松木樁垂直打入持力層。
挖掘機打試樁-確定樁長-制作松木樁-挖掘機打樁-鋸平樁頭-回填土-護坡施工
2、施工過程
在軟基范圍隨機選擇比較有代表的點,用挖掘機打入試樁,直到試樁進入
持力層。一般挖掘機捶擊進尺寸速度明顯下降時停止。然后將有代表的試樁長度取平均值,確實為松木樁批量制作長度。
松木樁的選用
a、樁徑選用常用D150mm:
b、根據地勘資料顯示,樁端進入10加標高為粘土層,下層為含砂層,該層可作為松木樁持力層。
松木樁的制作
(1)樁預計用量466根,大端直徑≥15em,且外形直順光圓;
(②)小端削成30em長的尖頭,利于打入持力層;
(3)待準備好總樁數80%以上的樁時,調入挖掘機進行打樁施工,避免挖掘
機待樁窩工;
(4)將備制作好的樁擺放在現場,為打樁做好準備;
2.4挖掘機打樁流程
(1)挖掘機就位;
(②)選擇將要打入的松木樁,人工扶正松木樁;
(3)按壓穩定后,人立即離開樁位,用挖斗背面擊打樁頭,直到沒有明顯打入量為止,確保松木樁垂直打入持力層。
第六節附圖
1、松木樁加固示意圖
1、松木樁加固示意圖



2、松木樁平面布置圖

以上就是"河道邊松木樁加固施工方案(附示意圖)-江西市政工程方案"文章的全部內容,如果您有松木樁、杉木樁、落葉松等需求,歡迎咨詢網站右上方的廠家熱線,我們將為您竭誠解答!
本文鏈接:http://www.fanfandesign.cn/news/js/2022-03-28/91.html,轉載請注明出處!
- 相關文章
- 河道打木樁怎么打的直?
- 松木樁基礎施工規范
- 松木樁的直徑一般取多少?
- 松木樁需要做防腐嗎?
- 護坡樁選擇松木樁還是杉木?
- 邊坡打木樁的作用及其重要性
- 打松木樁價格解析:打木樁包工多少錢一根?
- 打松木樁人工費多少錢一根?揭秘打松木樁的成本構成